A brown-striped caterpillar walks on pavement next to the edge of a lawn.

Fall armyworm caterpillar. Photo: Matt Bertone, NC State University

Updated: March 16, 2026

Key points about lawn insects and mites

  • Diagnosing lawn problems can be challenging, as symptoms from multiple factors (environmental stress, pests, diseases, or physical damage) can overlap.
  • Many lawn problems cause temporary cosmetic damage to the grass, but are not serious threats to long-term lawn health. Not every condition requires (or responds to) treatment, and often the grass eventually outgrows the damage.
  • Lawns do not have many serious insect or mite pests, and those few species belong to the beetle, moth, and true bug insect orders. Before taking action, identify any insect found in a lawn suspected of causing damage, and determine how abundant they are. Most insects found in Maryland yards and landscape are beneficial or harmless.
  • Significant lawn damage from insect outbreaks is uncommon on long-established lawns or lawns consisting of tall fescue or zoysia. Lawns dominated by Kentucky bluegrass, or those with a history of repeated insecticide use, may experience more insect pest problems.
  • Follow recommended lawn care practices to reduce the likelihood of a pest outbreak. Include native flowering plants in the landscape around lawns to support beneficial insect populations that suppress pests naturally.
  • Most insects found in lawns are beneficial or harmless. Many bees and wasps, such as mining bees, are non-aggressive and rarely bother people though a few, like yellowjackets and bumble bees, can be defensive around their ground nests. Spiders, ants, and ground beetles are also common and help control lawn pests.

Lawn insect terms

  • Juvenile insects molt several times as they grow. Each stage between molts is an instar. For caterpillars, each instar eats progressively more because the insect is growing rapidly. Young instars may not cause noticeable damage, while older instars can create prominent symptoms.
  • Endophytes are beneficial fungi living inside the grass plant’s tissues (above-ground, not in roots). Toxins produced by the fungi enhance the grass’s resistance to pest damage.
    • Many varieties of disease- and pest-resistant cool-season turfgrass cultivars, especially those of tall fescue, are inoculated with endophytes. Fine fescue can have endophytes, as can some varieties of perennial ryegrass.
    • The presence and viability of endophytes can vary based on environmental conditions, so they cannot be relied on to completely protect the grass on their own. For example, inoculated grass seed should be stored dry around 32 to 40°F, since warmth and humidity greatly reduce endophyte viability in storage.
  • The crown of a grass plant is the area at soil level where the roots and shoots (above-ground growth) meet. New shoots originate from the crown in response to mowing, drought, pests, or diseases.

Insects that damage lawns

Scarab beetle larvae (white grubs)

The larvae of several beetle species in the scarab family (Scarabaeidae) feed on turfgrass roots. Collectively, they are commonly called white grubs and they share a characteristic appearance: C-shaped white to gray bodies, with three pairs of legs clustered near the orange-brown head. The size of the grub can vary by species and life stage.

Chinch bug

There are three main native species of turfgrass-feeding chinch bugs in the U.S.: the hairy chinch bug (Blissus leucopterus hirtus), common chinch bug (Blissus leucopterus leucopterus), and the southern chinch bug (Blissus insularis). The hairy chinch bug is the most common chinch bug species found in Maryland.

Identification

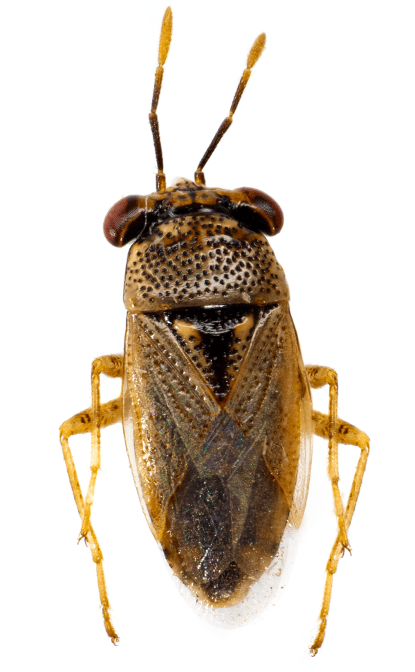
These true bugs are small (about ⅛ inch as adults), with a mostly-black or dark amber body, reddish-amber appendages, and white-marked wings. Juveniles (nymphs) initially have a reddish body with a white band across the middle. An adult’s wings may or may not reach the end of its body when held over the back at rest.

Individuals representing each of the life stages of a chinch bug, arranged in order or maturity.
Left to right: five juvenile (nymphal) chinch bug life stages; a short-winged adult; and a normal-winged adult (far right).
Photo: D.S. Reiland, NC State University

Look-alike species

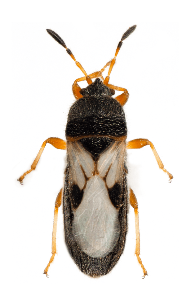
Chinch bugs look similar to a beneficial predatory insect called minute pirate bug. Pirate bugs are smaller and have a golden-colored upper band on the wings, where chinch bug wings are only black and white. The dark wing spots are also more evenly triangular on the minute pirate bug compared to the spots on chinch bug wings.

Big-eyed bugs, another beneficial predator, can also be confused with chinch bugs for their similar size and body shape. However, big-eyed bugs lack the distinctive black-and-white coloration, and their eyes are much larger in relation to their head. Big-eyed bugs can prey on chinch bugs, so their populations may overlap.

An adult chinch bug, with a black body, white-marked wings, and orange legs.
An adult chinch bug. Photo: D.S. Reiland, NC State University
An adult big-eyed bug, with prominent bulging eyes, a bronze-brown body and legs, and uniformly-colored wings.
An adult big-eyed bug. Photo: D.S. Reiland, NC State University
An adult minute pirate bug with a black body and gold- and white-marked wings.
An adult minute pirate bug. Photo: Adobe Stock

Chinch bug life cycle and behavior

  • Chinch bugs live in thatch and feed on the lower leaf sheath and crown.
  • With piercing-sucking mouthparts, they suck sap out of grass stems, injecting chemicals into the plant to aid in feeding which interrupt nutrient and water transport.
  • There are 2 generations per year in Maryland, and they overwinter as adults in either the thatch or in nearby grassy fields.
  • Adults can be active above 45°F, but thrive in hot, dry weather. In spring, activity generally begins around a daytime temperature of about 70°F.

Grass types affected: Chinch bugs prefer to feed on fine fescue, Kentucky bluegrass, perennial ryegrass, and zoysia. They avoid feeding on grass varieties containing endophytes.

Season for symptoms: generally between June and September

Symptoms of damage: Damaged grass gradually wilts, yellows, and dies, especially near radiant heat sources such as sidewalks and roads. The grass does not recover once it has turned brown. In comparison, drought-stressed turf that turns brown can regrow fresh foliage as it recovers with irrigation.

Finding chinch bugs

  • Use a large, empty metal can with the bottom cut off. Push it about 1 inch into the soil where chinch bugs are suspected of causing damage. Fill the can with water and wait about 5 to 10 minutes for chinch bugs to float to the surface for counting.
  • Alternatively, take a similarly-sized cut-out of sod and dunk it in a bucket of water for the same amount of time.
  • Be sure to differentiate chinch bugs from their predatory look-alikes (big-eyed bugs and minute pirate bugs).

Management of chinch bugs

  • Irrigate the lawn as needed during dry periods. This lessens grass stress and supports naturally occurring insect-infecting fungi like Beauveria, which can reduce chinch bug populations.
  • Remove any thatch buildup exceeding half an inch to discourage future outbreaks.
  • Repair heavily damaged areas by reseeding (fescue) or re-plugging (zoysia). Use turf varieties enhanced with endophytes when possible.
  • Reduce the risk of significant chinch bug feeding by focusing on proper lawn care to support plant health. Avoid widespread insecticide applications by only spot-treating damaged areas. Applying insecticides too late in the season will not effectively control chinch bugs, and applications are generally not recommended past mid-August. As a guideline, a population size of about 20 to 25 chinch bugs per square foot of lawn may warrant spot treatment.

Caterpillars

Caterpillars are the immature stages (larvae) of moths and butterflies. While the caterpillars of a few of Maryland’s butterfly species eat grasses, they are not lawn pests. Two types of moths are the primary caterpillar pests of lawns, though they do not always cause annual or severe problems.

Caterpillars have chewing mouthparts, so their damage results in chewed-down and missing grass blades.

Fall armyworm

The fall armyworm (Spodoptera frugiperda) is native to the Americas and overwinters in the southern U.S. This species occasionally reaches Maryland in late summer or autumn as weather fronts carry adult moths north, or as moths disperse naturally. They are strong fliers, capable of traveling approximately 60 miles per day, on average. The caterpillars feed on a wide variety of plant species, including turfgrass, and the “army” of caterpillars feeding en masse can cause significant damage in a short amount of time (within days).

A nearly-hairless green caterpillar with yellowish and brown stripes on its sides and a pale brown head.
Early-instar fall armyworm caterpillar. Photo: Matt Bertone, NC State University
Close-up of the head of a brown caterpillar with light and dark stripes on its sides. The brownish head is distinctly marked with a thin line in an upside-down Y pattern.
Detail of the distinctive upside-down Y pattern on a fall armyworm caterpillar head.
Photo: Matt Bertone, NC State University
A brown moth resting with wings held over its back. The wings have intricate light and dark brown markings.
Adult female fall armyworm moth. Photo: Matt Bertone, NC State University

Fall armyworm life cycle and behavior

Cluster of fluff-covered white insect eggs laid on the back of a leaf.
Fall armyworm egg mass laid on a leaf. Photo: David Shetlar, Ohio State University
  • Eggs are laid in egg masses (clusters) of around 50 to 200 eggs. Egg masses appear fuzzy since the eggs are covered with fine white hairs (scales) from the female egg-laying moth’s body.
  • Caterpillars reach about 1½-inches long and are often brown, though they can be yellowish, gray, or greenish. Identification features of older instars include an upside-down Y pattern of lines on the head (magnification may be needed) and four dark spots on the end of the abdomen arranged in a square. When disturbed, they tend to curl up into a coil. Fall armyworm can be confused with other look-alike caterpillars like true armyworm (Pseudaletia unipuncta) and corn earworm (Helicoverpa zea), but they can be differentiated by the “Y” found on fall armyworm caterpillar heads.
  • Pupae develop in a cocoon and are unlikely to be seen, either in the soil or among debris on the surface.
  • Adult moths average about 1½ inches in wingspan and have white hind wings and patterned brown forewings (males have more distinct patterns than females). Adults live for about 1½ to 3 weeks.

In warm weather, one generation can mature in about a month; in cooler weather, about 2 months. More than one generation may occur in Maryland, depending on temperatures and how late into the summer adults arrive.

Generally, this tropical insect does not overwinter in Maryland; in the southern U.S., it overwinters as a pupa. However, warming winter temperatures might allow fall armyworms to persist locally in the future.

Grass types affected: Among turfgrasses, preferred hosts include bermudagrass and tall fescue varieties that lack endophytes. Tall fescue with endophytes, in addition to fine fescue, Kentucky bluegrass, perennial ryegrass, and zoysia, are more resistant to damage. Overall, young (seedling) turf appears to be more vulnerable than turf at least one year old. Grassy weeds like crabgrass can also feed fall armyworm caterpillars.

Season for symptoms: During outbreak years, this species tends to occur from about late July through October in Maryland.

Symptoms of damage: Fall armyworms eat grass leaf blades and can feed all the way down to the crown. This type of feeding and the rapid exposure of the crown to more direct sun may kill the turf during periods of high heat and drought. If the crown remains unharmed, the grass can regrow from armyworm damage. For fescue lawns, recovery will begin in early autumn as temperatures cool, along with rain or irrigation.

Due to their increased appetite, late-instar (larger) caterpillars cause the greatest damage to turfgrass, especially during periods of slow grass growth (such as summer dormancy for cool-season grasses). As temperatures cool in autumn, cool-season grasses resume vigorous growth, which may outpace caterpillar damage.

Management may be needed once fall armyworm caterpillar densities exceed 5 to 10 larvae per square yard. Later instar caterpillars are difficult to control. However, cool-season grasses usually recover in the fall with proper care.

Finding fall armyworms

  • Adult moths are attracted to night lighting. Females may prefer egg-laying sites on or near turfgrass that are light in color. Check structures like downspouts, fence posts, light posts, sheds, and other surfaces near turf for egg masses.
  • The caterpillars tend to be most active in the early morning or late afternoon, but may feed at any time of day.

Sod webworm

Over 20 species of moths in the family Pyralidae are collectively called “sod webworm,” most of which are native to North America.

Sod webworm identification

  • Caterpillars: Depending on the species, full-grown (late-instar) caterpillars range from ½-inch to about 1 inch long. Color varies from greenish to beige, brown, or gray, often with darker round spots scattered over the body.
  • Adult moths: Pale gray or tan, with wings held close to the body (or partially rolled around it) at rest, and a snout-like head projection. Resting moths often position themselves parallel to the grass blade, facing downward; they are about ½- to ¾-inch long. If disturbed, they may fly a short distance in a zigzag pattern.
A small light brown moth with wings held over its back rests on a grass leaf blade.
Sod webworm adult moth. Photo: R.L. Kriner
A slender, smooth green caterpillar with an orange-tinged head sits on a grass leaf blade.
Sod webworm caterpillar. Photo: Casey Reynolds, Texas A&M University
A small brown moth with indistinct wing markings sits on a white surface. Its wings are rolled around its body, making the moth look somewhat cylindrical.
One species of sod webworm moth (Pediasia trisecta). Photo: Adobe Stock
A stout light brown caterpillar with a dark head and spots spins silk between chewed pieces of green and brown grass blades.
Sod webworm caterpillar’s mass of silk-connected grass blades and debris.
Photo: John Obermeyer, Purdue Entomology

Sod webworm life cycle and behavior

  • These moths have two to three generations per year, with caterpillars appearing about 2 weeks after the adult moths are flying.
  • Larvae overwinter in the soil or thatch layer and pupate in spring.
  • Caterpillars spin silken shelters that can include leaves and soil particles. They often form horizontal tubes in the thatch layer where they hide during the day, coming out to feed at night. Caterpillars chew off grass blades and bring them back to the shelter to eat.

Grass types affected: All turfgrass types. Newly-sodded or recently established lawns may be preferred.

Season for symptoms: In Maryland, most of the prominent feeding damage occurs from mid-July through the end of September.

Symptoms of damage: Sod webworms eat grass leaf blades. Since caterpillars feed at night, by morning thatch is visible in the damaged areas, which look like they were scalped (cut too low) by a mower. These patches may be 3 to 10 inches across. Webworm feeding damage tends to appear first in areas of stressed turf, such as along sidewalks where conditions tend to be hotter and drier.

Management may be needed once sod webworm caterpillar densities exceed approximately 10 to 15 per square foot. Otherwise, intervention is typically not necessary.

Large swath of lawn turning brown and looking scalped (mown too low) next to a zone of healthy turfgrass.
Sod webworm feeding damage on a lawn.
Photo: Steven Arthurs, University of Florida

Management of armyworms and webworms

  • Protect natural controls by avoiding pesticides. Caterpillars and adult moths are eaten by birds, moles, spiders, and predatory insects (including ground beetles, true bugs, robber flies, ants, earwigs, and parasitic wasps and flies). Skunks and rodents can also eat caterpillars and pupae.
  • Adult moths can be drawn to night lighting. Turn off any unnecessary outdoor lamps, or put them on a motion sensor.
  • Remove thatch buildup to discourage future outbreaks.
  • Encourage lawn growth that will outpace damage by watering as needed during dry weather.
  • Use turfgrass varieties containing endophytes to resist feeding by caterpillars.
  • High populations of early-instar caterpillars might warrant insecticide treatment by lawn care professionals if no other approach is successful. Active ingredient options include certain strains of Bt (Bacillus thuringiensis subspecies kurstaki), spinosad, indoxacarb, and cyantraniliprole. Pyrethroids (synthetic versions of pyrethrum) are not recommended due to their higher risk of harm to beneficial insects, and due to resistance that some fall armyworm caterpillars seem to have developed to one or more chemicals in this group.
    • Bacillus thuringiensis (Bt) is a bacterium whose protein toxin damages the insect gut. Subspecies kurstaki affects caterpillars, which stop feeding soon after exposure and die within several days. Young (early-instar) caterpillars are more vulnerable than older individuals. Applications of Btk could harm non-pest caterpillars (such as native butterfly caterpillars) using host plants growing in a treated lawn, such as other grasses, violets, clover, or plantain.
  • Beneficial nematodes (Steinernema species) can help suppress caterpillar outbreaks. They are highly perishable and need to be applied in specific conditions (during early morning or overcast weather), and irrigated into the turf immediately after application.

Clover mites

Clover mites are in the spider mite family (Tetranychidae), but they are not typically a major lawn pest. Populations can fluctuate widely in new lawns, stabilizing over time. They can become a nuisance if large numbers enter a home to seek shelter from the weather. Clover mites do not bite, carry diseases, or damage household food or furnishings; however, their body fluids can leave a red stain if they are squashed.

Magnified view of a clover mite with a dark body and red-orange legs, walking on a heavily-damaged, silvery grass blade.
Clover mite (Bryobia praetiosa) on a heavily-damaged blade of Kentucky bluegrass.
Photo: Whitney Cranshaw, Colorado State University, Bugwood.org
Pencil drawing of a clover mite, with a dark body and reddish legs and head.
Clover mite, with the notably long front pair of legs.
Illustration: John Davidson, UMD Department of Entomology

Clover mite identification

  • Less than 1 mm long; a rounded to egg-shaped body with a dark purplish or brown main color and light orange legs.
  • Under magnification, the first pair of legs are noticeably longer than the other three pairs and might be mistaken for antennae.
  • Compared with other plant-feeding mites (such as other types of spider mites), clover mites are comparatively large and fast-moving.

Clover mite life cycle and behavior

  • With piercing-sucking mouthparts, plant-feeding mites puncture plant tissue and suck up the leaking cell contents. Clover mites feed on grass blades and the leaves or flowers of other herbaceous plants.
  • The pale flecking/spotting resulting from injured and emptied plant cells causes damage called stippling. Heavy stippling can cause damaged leaves to turn a tan-brown or silvery color.
  • Clover mites are female and reproduce via parthenogenesis, a form of asexual reproduction where an embryo develops from an egg without fertilization.
  • Two generations per year are typical: one in spring and the other in autumn. Eggs are the main overwintering stage (though any life stage is possible). Summer heat pauses mite development (aestivation, a dormancy that is similar to hibernation).
  • Heavy rain and host plant damage from drought or mowing may motivate the mites to wander indoors. On warm days in late winter, early spring, or autumn, they can cross the grass and crawl up the sunny sides of foundations and walls of buildings.

Grass types affected: All turfgrass types, along with various herbaceous plants. Newly sodded or recently established lawns seem to be preferred.

Season for symptoms: Clover mites are usually most noticeable in the spring when the weather is humid and temperatures are between 45° and 80°F. When the temperature drops at the end of the day, they stop where they are and remain motionless until it warms up. This means that thousands of mites can shelter under shingles and window sills, waiting to resume their searching when the temperature rises the next day. This trend continues until consistently high or low temperatures end their wanderings for the season.

Symptoms of damage: Areas of the lawn with heavy mite feeding may be concentrated next to a building wall, and symptoms of a zone of brown or pale grass blades can look like dieback from drought or winter cold snaps.

Clover mite management

Intervention is usually not needed unless recurring lawn damage is significant, or if the mites repeatedly enter a building.

  • Discourage mites from wandering indoors by sealing gaps and cracks in exterior walls with weather-stripping or caulk, such as around window and door frames (they are small enough to fit through window screen mesh, however). During an outbreak, a temporary method of trapping mites is to seal windows with masking tape or lightly coat the windowsill with cooking or mineral oil.
  • If needed, modify the habitat immediately around the building by removing lawn or other vegetation from a zone 6 inches up to 2 feet out from the foundation.
  • No insecticide is needed to control clover mites in the home; they soon die from dehydration. Mites can be removed with a vacuum; avoid wiping or sweeping them away, which can stain surfaces.
  • Over-fertilized lawns can favor clover mite population booms. Apply fertilizer only as needed, based on the results of a laboratory soil test.

Insects associated with lawns that do not cause damage

Ground-nesting bees and wasps

Approximately 70% of locally native species of bees and wasps nest in underground burrows, and several species use lawn soil for nesting. Bees and wasps pollinate flowers, and wasps hunt for other insects or spiders to feed to their young. Wasps are valuable to gardeners as free natural pest control. The piles or pellets of soil kicked out of nesting burrows may look messy, but they will weather away and the grass will fill in, either by itself or with autumn overseeding.

Aside from yellowjackets and bumble bees, these ground-nesting bees and wasps do not create communal nests. Instead, a group of females can congregate in suitable habitat, each working by herself. They are not aggressive or defensive of their nests, and are very unlikely to sting since they are focused on foraging for food.

The activity and duration of these bees and wasps differ by species. Males do not have a stinger, and will perch or fly around looking for mates or rivals. Females will dig and stockpile a burrow with food for the next generation. All of them are of little to no threat to people and pets using the lawn. When their tasks are finished, the adults die, and the larvae develop underground until the following year.

Grub-hunting wasps

Not all wasps create a nest. The larvae (juveniles) of some species are parasites of other insects, and live alongside or within their prey. The female wasp searches for the host (often a specific kind of insect) and lays an egg on or inside its body. Wasp prey can include lawn and garden pests, so this type of natural pest control is valuable and worth supporting.

The blue-winged wasp is a common species across Maryland. Like other members of its wasp family (Scoliidae), the female hunts white grubs by flying above the lawn and digging into the soil to reach her prey. She will sting the grub and lay an egg on its body before searching for another or pausing to drink flower nectar. Parasitized grubs do not survive, and a healthy population of these wasps can help prevent lawn grub damage.

Living with bees and wasps in lawns

To protect these valued pollinators and predators:

  • Avoid using synthetic pesticides on the lawn. This includes insecticides, fungicides, and herbicides. Organic pesticide formulations still have the potential to harm beneficial insects, although they typically do not remain as potent for as long as synthetic products do after application.
  • Delay mowing when groups of bees or wasps are congregating in the lawn to mate or hunt. This may temporarily shift mowing to the morning or evening hours, depending on when that species is the most active.
  • Do not disturb the soil. Let any burrows fill in naturally to ensure the female has finished provisioning food for her young. Tilling the area will destroy burrows and will likely kill any juveniles present.

If you must discourage these bees and wasps so they move on to other nesting or hunting areas, keep the lawn dense and vigorous, so the soil surface is less accessible for digging. Heavy watering with a sprinkler may discourage actively-searching females from creating nests, but it also risks over-watering the lawn and encouraging disease. Many ground-nesting species favor sandier-textured soil over compacted or clay soil.

Examples of bee and wasp species nesting or hunting prey in lawns

A yellow and black fuzzy bumble bee visits a pink-colored nodding onion flower cluster.
Bumble bee visiting a nodding onion flower.
Photo: Adobe Stock
A small, golden-haired fuzzy bee with long black antennae rests on a person's finger above a weedy lawn.
A docile ground-nesting bee resting on a finger knuckle. Photo: Miri Talabac, University of Maryland Extension
A large black, yellow, and red-brown wasp hovers over a lawn.
A cicada killer wasp hovering over a lawn.
Photo: Adobe Stock
Short mound of loose, granular soil created by a ground-nesting bee, which is peeking out of the burrow entrance hole.
A mining bee peeks out of its turret-like burrow entrance in lawn soil.
Photo: Adobe Stock
A metallic blue-black wasp with a pair of yellow spots on the reddish-brown end of its abdomen, visiting flowers.
A blue-winged wasp visiting flowers for nectar.
Photo: Adobe Stock
A yellow and black-patterned wasp visiting a cluster of white flowers.
A downy yellowjacket visits flowers for nectar. (Several yellowjacket species live in Maryland.)
Photo: Matt Bertone, NC State University

Other lawn invertebrates

A variety of insects and other invertebrates can live in a lawn, often unseen until disturbed by foot traffic, a mower, or being driven to the surface or nearby pavement by rain that saturates the soil. They do not damage the grass – in fact, many are beneficial because they prey on pests – and management is not necessary.

Ants

A low mound of loose soil at the edge of a lawn bordered by paving stones. Ants swarm over the soil and stones.
Ant activity around a nest entrance where a lawn meets pavement. Photo: Adobe Stock
A low mound of fine, pale-colored soil surrounded by turfgrass.
Raised soil mound from ant nesting activity. Photo: Adobe Stock

Several ant species nest in soil, and some create mounds of loose soil at the nest entrance that might look objectionable when they are numerous and turf is sparse. Visible nest mounds are less of an issue in lawns mown high and kept dense with regular overseeding. Ants prey on a variety of insects, including termites, and are in turn eaten by birds, lizards, toads, spiders, and other insects.

Leafhoppers

A narrow spear-shaped leafhopper with a light green back and light brown underside sits on a grass leaf.
Draeculacephala antica, a sharpshooter species of leafhopper common in lawns.
Photo: Adobe Stock
A slender oval-shaped, gray-colored leafhopper sits on a grass leaf.
Gray lawn leafhopper (Exitianus exitiosus), another common species in lawns.
Photo: Pablo Tapia Ossa, iNaturalist.org, CC BY-NC 4.0

Small and usually pastel green in color, leafhoppers hop into flight and scatter ahead of a disturbance like a mower or person or pet walking through the lawn. They feed on plant juices with piercing-sucking mouthparts, but do not cause noticeable or significant damage to the grass, even when the insects are abundant. Leafhoppers are eaten by lizards, birds, spiders, and predatory insects like wasps, robber flies, and assassin bugs.

Earwigs

A reddish-brown earwig, an insect with prominent pincers on its rear end, sits on a clover leaf.
An earwig perched on a clover leaflet. Photo: Adobe Stock

As predators and scavengers of plants and animals, earwigs may become abundant in lawns with thatch buildup or that are irrigated too often (as they prefer cooler, moist conditions). If they become a nuisance by entering homes during the heat of summer, exclude them by sealing access points like gaps and cracks and fixing worn-down weather-stripping. Earwigs are eaten by toads, lizards, birds, spiders, centipedes, and other predatory insects.

Millipedes

A dark brown millipede lays coiled on pavement next to the edge of a lawn.
A large, round-bodied millipede lays coiled up next to turfgrass. Millipedes in lawns are often smaller and more flattened in shape.
Photo: Adobe Stock

As scavengers, millipedes eat decaying vegetation and other material. While they could feed on live plant roots or seedling leaves, they do not tend to cause enough damage to be a lawn pest. Their activities recycle nutrients and organic matter for the benefit of plant roots. Large numbers of millipedes sometimes wander out of a lawn or garden bed leaf litter during periods of very wet weather. If they become a nuisance indoors, block access by sealing gaps and cracks and repairing worn-out weather stripping.

Spiders

Several types of spider live in the lawn or wander the ground instead of building vertical webs. Grass spiders can spin webs across the grass, which are most prominent in late summer and autumn when the spiders are mature and dew highlights the silk. In comparison, wolf spiders do not spin webs, and instead actively explore to find food. Since spiders prey on other insects, they help control pest populations in lawns.

A sheet-like spider web is attached horizontally to the tips of grass blades in a lawn.
A sheet weaver spider web in a lawn. Photo: Joe Boggs, Ohio State University
A sheet-like spider web is attached horizontally to the tips of grass blades in a lawn. A prominent hole for the spider's access tunnel is built into the web.
A funnel weaver spider web in a lawn. Photo: Joe Boggs, Ohio State University

Biting lawn invertebrates

Chiggers (a type of mite), ticks, and fleas may occur in a home lawn and can bite people. For chiggers and ticks, use personal repellent and habitat modification strategies to discourage them. If cat fleas inhabit a lawn, an application of insect-parasitic nematodes (Steinernema carpocapsae) or an insecticide may be needed, in addition to treating any indoor spaces infested with fleas. Remove any thatch buildup in lawns before applying the pesticide or nematodes.

Additional resources

How to choose a lawn care service (PDF) | Maryland Department of Agriculture

References

Brandenburg, R. L., & Villani, M. G. (Eds.) (1995). Handbook of turfgrass insect pests. The Entomological Society of America.

Mathias, J. Kevin. (2021) The 2021 Invasion of the Fall Armyworm in the U.S. MTC Turf News (Winter), 12-17.

Potter, D. A. (1998). Destructive turfgrass insects: Biology, Diagnosis, and Control. Ann Arbor Press.

Watschke, T. L., Dernoeden, Peter H., & Shetlar, David J. (1995). Managing turfgrass pests. CRC Press.

Author: Miri Talabac, Lead Horticulture Coordinator, HGIC. March 2026.

Content reviewed by Madeline Potter, Faculty Specialist for Entomology & Integrated Pest Management. 2025.

Copy editing by Nancy Klein, Maryland Master Gardener, December 2025.

Still have a question? Contact us at Ask Extension.